2月 2019
フリーダイビングの練習
2月16日 店内
今日は、フリーダイビングの練習でした。
プールでのスノーケル教室で必要なため、しかっりと練習しました。
ジムでシュノーケリング教室を開催!!
今日は松阪市にあるスポーツジムへ行ってきました(`・ω・´)♪
プールのプログラムで「シュノーケル教室」を開催しました!!
参加者は笑顔の素敵な女性1名です♡
シュノーケルに慣れてきて、潜水のトレーニングも行いました(*^▽^*)
水中世界を楽しみながら、参加してくれたので嬉しかったです☆
短い時間でしたが、ありがとうございました!!
また機会がありましたら、ぜひご参加ください(*´▽`*)
初心者コース!20周年記念キャンペーン!⇒OWDスクールコース
中級者向けCカード取得コース⇒SSIスペシャルティコース
無料資料請求⇒お問い合わせフォーム
【平日ツアー】青い海に癒されました~♡【女性が参加】
2月13日
- くまさんダイバー
- ミノカサゴ
- ゼブラガニ
平日もダイビングツアーを開催しています!
場所は三重県尾鷲市のダイブポイント「梶賀ビーチ」へ行きました(*´▽`*)
久居インター⇒梶賀ビーチまでは、車の移動時間が約1時間30分です♪
近い距離なので、日帰りツアーで気軽に参加していただけます!!
担当インストラクターは薮上先生が活躍してくれました☆彡
参加者は津市からのNさんでした(*^ ^)v MDランクですが、約5か月ほどブランクがあり
久しぶりのダイビングに少し緊張されていた様子です(;`・ω・´)
しかし、ここの海は初心者(OWD~SPD)向けビーチのため
中性浮力などの、おさらいトレーニングも練習しやすくて、感覚を取り戻しながら
のんびりとダイビングを楽しめたそうです(*´ω`*)
- ヤガラ
- ホウボウ
- ユビノウハナガサウミウシ
さらに水中生物もたくさん探すことができて大満足していただけました★
出会った生物は、大きいヒラメ、大きいヤガラ、ツノダシのカップル
ゼブラガニ、ホウボウ、ミノカサゴ、ソラスズメダイ など・・・
たくさんの生き物に出会えて、面白かったですね♡
気温10度、水温17.6℃、透明度10mとコンディションもバッチリでしたね(∩´∀`)∩
Nさん、充実した1日を共有してくれてありがとうございました!!
3月のダイビングツアーもよろしくお願いします\(^o^)/
初心者コース!20周年記念キャンペーン!⇒OWDスクールコース
中級者向けCカード取得コース⇒SSIスペシャルティコース
無料資料請求⇒お問い合わせフォーム
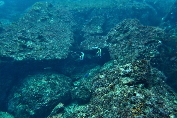
祝日なのに人が空いている穴場スポット♪
2月11日
- ソフトコーラル
今日は三連休の最終日!建国記念の日ですね!もちろんダイビングツアーを開催しました♪
参加者は津市からのYさん(MDランク)Tさん(インストラクターコース勉強中)でした!
担当インストラクターは光永社長が大活躍してくれました(∩´∀`)∩
場所は三重県尾鷲市の海で、ダイブポイント「梶賀ビーチ」です★
2月にしては水温がとても高く、17.9℃もあり、ドライスーツで超快適に潜れました(*^^*)
透明度も高く、14mあり、海の青色が綺麗で美しい水中景観を眺めることが出来ました♡
- モンガラドオシ
- ウツボ
- ゼブラガニ
- ツノダシ
光永社長は水中生物を探す達人なので、たくさんの生き物を探し出しました!!!
ラッパウニに寄生虫のゼブラガニ、イソギンチャクカクレエビ、モンガラドオシ
クロホシミツボシスズメダイ、タコつぼに棲んでいたウツボ、ウツボ
三角関係中のカワハギ、デート中だったツノダシのカップル など・・・
YさんもTさんも色んな生き物を見つけることが出来て、喜んでくれました*\(^o^)/*
冬だからこそ楽しめる、三重県の海!!Yさん、Tさん、一緒にダイビングが出来て
嬉しかったです!!充実した1日を共有してくれてありがとうございました(*´ω`*)
次回のダイビングツアーもよろしくお願いします☆彡
初心者コース!20周年記念キャンペーン!⇒OWDスクールコース
中級者向けCカード取得コース⇒SSIスペシャルティコース
無料資料請求⇒お問い合わせフォーム
海好きの女性がダイビングライセンス取得コースに挑戦!
2月10日
- 潜るぜー!
- レギュクリア
- 楽しいっ♪
- クロシタナシウミウシ
今日は三重県南伊勢町のダイブポイント「はまゆうビーチ」へ行ってきました!
ここはOWD~SPDランクの初心者ダイバーさんや、3か月以上のブランクダイバーさんが
スキル練習・おさらいが行いやすいほど、穏やかな海で、とてもオススメです(*´ω`*)
担当インストラクターは薮上先生と海野先生が活躍してくれました★
参加者は伊勢市からのOさん(SPDランク)、津市からのMさん(OWD講習初日)でした!
Mさんは、もともと海が大好きな方で、今回はマリンスポーツの一つである
スキューバダイビングを始めたい!と考えたそうで、申込みに来てくれました(*^^)v
初心者向けライセンス取得コース・OWDスクールコースでは、基礎スキルである
レギュレータクリア、マスククリアなどの必要性を学び、実際に海洋トレーニングで
練習を行います(`・ω・´) 真剣に取り組んでくれたので、とても嬉しかったです♡
Oさん、Mさん、充実した1日を共有してくれてありがとうございました☆彡
次回のダイビングツアーもよろしくお願いします(∩´▽`)∩♪
初心者コース!20周年記念キャンペーン!⇒OWDスクールコース
中級者向けCカード取得コース⇒SSIスペシャルティコース
無料資料請求⇒お問い合わせフォーム
YouTube / Twitter / Instagram / アメブロやってます★
当スクールは、世界中のダイビングツアーを開催しています!
【日本国内】 三重県内、和歌山県、福井県、鹿児島県 etc
【沖縄方面】 沖縄本島、石垣島、宮古島、与那国島 etc
【海外】 パラオ、サイパン、フィリピン、オーストラリア etc
自然あふれる海を潜ると、様々な生き物たちと出会います(*´ω`*)
ウミガメ、マンタ、クラゲ、クマノミ、ナンヨウハギ etc…
海で ふわり ふわり 漂いながら、魚たちを眺めていると癒されます♡
肉眼で見るだけではなく、水中カメラで撮影して記録を残しています!
それを SNS に水中動画・写真として投稿しています\(^o^)/
ダイビングという遊びに興味がある方は、ぜひご覧ください☆彡
動画はこちら⇒ YouTube
日々のつぶやきはこちら⇒ Twitter
インスタ映えっぽい お気に入り写真はこちら⇒ Instagram
ダイビングに関する日記はこちら⇒ アメブロ
また、ダイビングの基礎スキルなど、海洋トレーニングの様子も
SNSに投稿しているので、内容などが気になる方も、ぜひご覧ください♪
あと、チャンネル登録 や フォロー もよろしくお願いします( *´艸`)♡
オーストラリアから帰ってきました☆彡
2019年1月30日~2月5日(7日間)はオーストラリアツアーを開催しました!
世界最大級のサンゴ礁を誇るグレートバリアリーフ(GBR)の海でスキューバダイビング♡
やはりサンゴ礁は言葉にならないほど美しく、多種多様な生物を見てきましたが…!
今回は、たまたま天気に恵まれなかった様子・・・( ノД`)オーノー
しかしながら、素敵な水中写真はたくさん撮影できたみたいなので
後日、ダイビングの様子をブログに載せます(*^▽^*) お楽しみに~★
ドライスーツに慣れてきて楽しんでいる女性ダイバー♡
2月2日
- はまゆうビーチ
- 逆立ち◎
- カブトクラゲ
先週の土曜日はダイビングツアーを開催しました!
場所は「半世界」という映画のメインロケ地となった三重県・南伊勢町です♪
ダイブポイント名は「はまゆうビーチ」といいます!最大水深10mほどで
初心者ダイバーさんや、3か月以上ブランクがあるダイバーさんにオススメです!
担当インストラクターは薮上先生が活躍してくれました(`・ω・´)★
参加者は津市からのMさん(SPDランク)でした(*^^*) 最近、自分のサイズに合った
ドライスーツを着用して、ダイビングをするのに慣れてきたそうです☆
たしかに水中写真を見る限り、逆立ちとかして、とても楽しそうに潜っていますね♡
- クロシタナシウミウシ
- タツノオトシゴ
- 中性浮力◎
冬の季節は、やはり透明度抜群ですねっ( *´艸`) 海が青くて、写真映えします!
水中生物も写真の子たち以外で、魚やウミウシなど、色んな種類の生き物と出会えました!
コウイカ、マトウダイ、キタマクラ、ミスガイ、コノハミドリガイ、ヒロウミウシ etc
のんびり魚を探して、観察して、無重力の世界を満喫できて良かったですね~(^▽^)
次回は中級者コース・ドライスーツSPコースを受講される予定なので
器材の使用方法やコツを掴み、もっともっとダイビングを楽しんでください★
Mさん、笑顔あふれる1日を共有してくれてありがとうございました!!
初心者コース!20周年記念キャンペーン!⇒OWDスクールコース
中級者向けCカード取得コース⇒SSIスペシャルティコース
無料資料請求⇒お問い合わせフォーム
冬でも楽しめる!スキューバダイビングツアー開催!
2月3日
三重県尾鷲市・九鬼の海へ行ってきました★
参加者は津市からのKさん、Kさん、伊賀市からのTさんでした!!
担当インストラクターは薮上先生が活躍してくれました♪
今日は天気に恵まれ、気温が 17度 もありました(∩´∀`)∩ さらに風もなし!
ダイビングを終えた後も無風だと、寒さの体感が全く違うのでラッキーでした♡
透明度は 15m!やっぱり冬の海は綺麗ですね!!青さが格段に違います(*^o^*)
水温は 18℃!例年に比べて水温が高いため、冬のあったかアイテムである
ドライスーツを着用して、超快適にダイビングが出来ました( *´艸`)
今回は皆さん、中級者コース・ボートダイブSPコースの受講をされました(`・ω・´)
ボートダイビングに関する適切な知識を学び、安全停止フロートの扱い方や
エントリー・エキジット方法などのスキル練習を行いました!!
皆さん海を楽しみながら、真剣に取り組んでいただけて、とても嬉しかったです(´ω`)♪
充実した1日を共有してくれてありがとうございました☆彡
次回のダイビングツアーもよろしくお願いします!!
初心者コース!20周年記念キャンペーン!⇒OWDスクールコース
中級者向けCカード取得コース⇒SSIスペシャルティコース
無料資料請求⇒お問い合わせフォーム
オーストラリアから写真が届きました(^^)♪
1月30日~2月5日(7日間)はオーストラリア・GBR(グレートバリアリーフ)の
豪華クルーズツアーを開催しています*\(^o^)/*
海外から写真が届いたので、ブログに載せました!!
オーストラリア初日、2日の天気はまぁまぁ恵まれたそうです(`・ω・´)
そして、水温29℃!ポカポカで温泉に潜っている気分になりますね(笑)
水中写真はまだ届いていないので、写真が届いたらブログに載せます♪
今回の参加者は鈴鹿市からのKさん、亀山市からのTさんです(*´▽`*)
KさんとTさんは、アマチュアの最高峰ランクである、MDランクのため
自己管理・安全管理に優れている、素晴らしいダイバーさんです♡
サンマーレ初であるオーストラリア・クルーズツアーに参加していただき
ありがとうございます!!一緒に素敵な思い出をたくさん作りましょう(*^^)v
では残りの時間も リッチな船旅&最高のダイビング を楽しんできてください★













































